Zgodnie z dokumentacją przetargową, planowane prace obejmują:
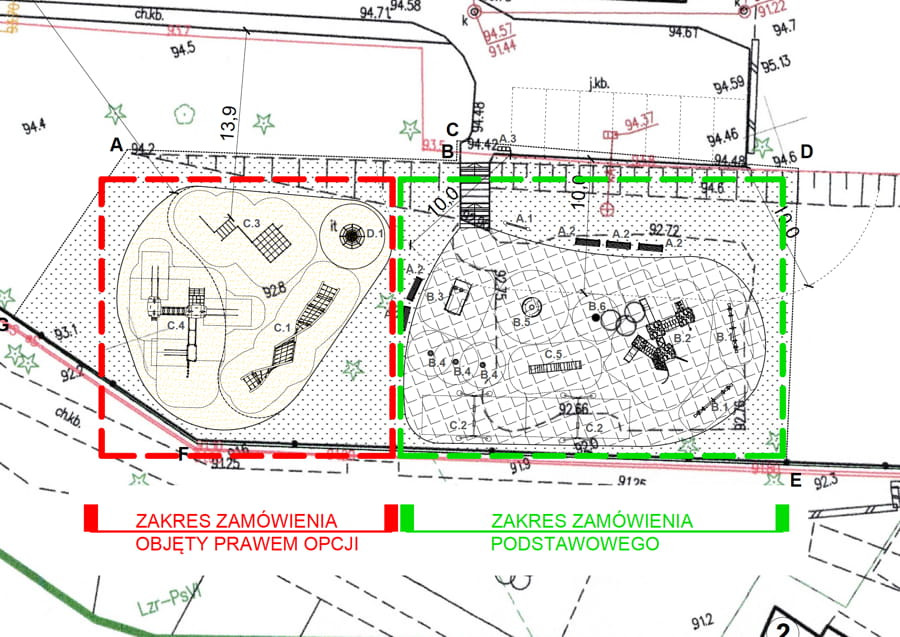
W dokumentacji przewidziano również tzw. prawo opcji, czyli możliwość rozszerzenia zakresu modernizacji o dodatkowy fragment placu zabaw. W wariancie opcjonalnym zaplanowano wykonanie bezpiecznej nawierzchni z piasku oraz montaż dodatkowych urządzeń, w tym m.in. drabinki linowej i linarium, wraz z niezbędnymi robotami towarzyszącymi. O tym, czy ta część zostanie zrealizowana, gmina zdecyduje już po wyborze wykonawcy. W praktyce chodzi o to, że na razie nie wiadomo, czy władzom Serocka wystarczy pieniędzy na te prace.

Termin składania ofert upływa 6 lutego 2026 r.
Po podpisaniu umowy wykonawca będzie miał do 70 dni na realizację wszystkich prac.
Jeśli tym razem uda się sprawnie wyłonić wykonawcę i dopiąć formalności bez przeszkód, modernizacja placu zabaw w Zegrzu zakończy się wiosną, tak aby jeszcze w tym roku szkolnym uczniowie mogli skorzystać z odnowionego placu zabaw.
To już trzecie podejście serockich urzędników do tej inwestycji. W dwóch poprzednich postępowaniach przeprowadzonych w zeszłym roku wybrano wykonawców, ale umów nie udało się podpisać.
W pierwszym przetargu z lipca najkorzystniejszą ofertę złożyła firma GRUPA EPX Paweł Matera z Jastrzębia-Zdroju. Jej propozycja opiewała na prawie 600 tys. zł, jednak tuż po wyborze wykonawca wycofał się z podpisania umowy, tłumacząc decyzję m.in. natłokiem prac i brakami kadrowymi.
W drugim postępowaniu z września wybrano firmę SIMBA GROUP z Lublina za niemal 609 tys. zł. Również w tym przypadku nie doszło do zawarcia umowy. Firma wskazywała, że nie jest w stanie podjąć się realizacji zadania, obawiając się niedotrzymania terminu.
Brak komentarza, Twój może być pierwszy.
Użytkowniku, pamiętaj, że w Internecie nie jesteś anonimowy. Ponosisz odpowiedzialność za treści zamieszczane na portalu legio24.pl. Dodanie opinii jest równoznaczne z akceptacją Regulaminu portalu. Jeśli zauważyłeś, że któraś opinia łamie prawo lub dobry obyczaj - powiadom nas [email protected] lub użyj przycisku Zgłoś komentarz
Legionowo: Mężczyzna głaskał dzika. Służby apelują...
W sumie facet ma rację, skoro nie może liczyć na służby miejskie nie pozostaje nic innego jak zapoznać się z dzikami jak ze stałymi sąsiadami.
Adams
01:00, 2026-01-25
Legionowo: Prezydent tłumaczy się z nieodśnieżony...
Mieszkam bardzo długo w Legionowie i nie jedną prawdziwą zimę przeszłam. Tak tragicznie jeszcze nigdy nie było. To się w głowie nie mieści. Gdzie była SM i dlaczego nie wystawiała mandatów za nie odśnieżone chodniki. To zakrawa na skandal. 😡
NIKA131313
22:02, 2026-01-24
Wieliszew zaprasza przedsiębiorców na noworoczne...
Ciekawe co na to Paulina jak się zachowuje Wojtek. Wojtek nie szanuje pracowników. Cwaniakuje i szasta kasą na lewo i prawo. Nie płaci pracownikom na czas. A nadgodziny są liczone jako zwykłe godziny pracy. A jak Wojciech ma zły dzień to krzyczy na pracowników przy klientach. Co więcej, każdy klient i pracownik jest traktowany przez niego jak potencjalny złodziej. Tragedia. Trzymaj się Paulina.
Wanda
09:13, 2026-01-24
Wieliszew łączy siły z lokalnym biznesem. Pierwsz...
Ciekawe co na to Paulina jak się zachowuje Wojtek. Wojtek nie szanuje pracowników. Cwaniakuje i szasta kasą na lewo i prawo. Nie płaci pracownikom na czas. A nadgodziny są liczone jako zwykłe godziny pracy. A jak Wojciech ma zły dzień to krzyczy na pracowników przy klientach. Co więcej, każdy klient i pracownik jest traktowany przez niego jak potencjalny złodziej. Tragedia. Trzymaj się Paulina. Współczujemy.
Wandzia
09:10, 2026-01-24